1. トップページ
  2. 稲城市押立 新築一戸建 5580万円 12号棟

稲城市押立 新築一戸建 5580万円 12号棟

価格
5,580万円
物件種別
新築一戸建て
間取り
3LDK
所在地
稲城市 押立
交通
  • 南武線「矢野口」駅 徒歩 15 分
  • 南武線「稲城長沼」駅 徒歩 18 分
土地面積
100.19㎡
建物面積
79.07㎡
  • 前回情報更新日 2026.04.21
  • 次回情報更新予定日 2026.05.05
資料請求 現地見学 電話でお問い合わせ
0120-150-580
間取り
間取り
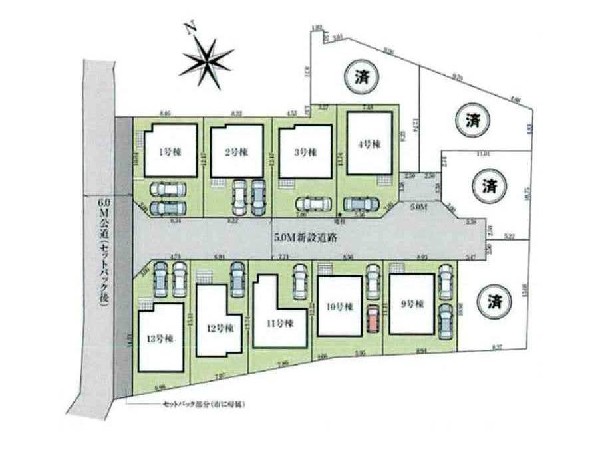
区画図
区画図
周辺環境:いなげや稲城矢野口店(駅の改札を出てすぐ近くにありますので、通勤通学、お出かけの際立ち寄りやすく、日々のお買い物にとても便利です。)
周辺環境:いなげや稲城矢野口店(駅の改札を出てすぐ近くにありますので、通勤通学、お出かけの際立ち寄りやすく、日々のお買い物にとても便利です。)
周辺環境:アメリア稲城ショッピングセンター(スーパー三和、ダイソー、マツキヨ、書店、衣料品店などが入る、ショッピングモールです。駐車場も広く休日のお買い物に便利です。)
周辺環境:アメリア稲城ショッピングセンター(スーパー三和、ダイソー、マツキヨ、書店、衣料品店などが入る、ショッピングモールです。駐車場も広く休日のお買い物に便利です。)
周辺環境:稲城市立稲城第四小学校(創立昭和45年。教育目標「心身ともに健康で、生涯にわたって主体的な人間の育成」)
周辺環境:稲城市立稲城第四小学校(創立昭和45年。教育目標「心身ともに健康で、生涯にわたって主体的な人間の育成」)
周辺環境:稲城市立稲城第四中学校(学校教育目標:自ら学び、考え、表現する 他を思いやり、力を合わせる たくましい気力・体力を養う)
周辺環境:稲城市立稲城第四中学校(学校教育目標:自ら学び、考え、表現する 他を思いやり、力を合わせる たくましい気力・体力を養う)
周辺環境:梨花幼稚園(園舎・園庭から子供たちの元気な声が聞こえてきます。できることが増えていく、お子様の成長が楽しみです。)
周辺環境:梨花幼稚園(園舎・園庭から子供たちの元気な声が聞こえてきます。できることが増えていく、お子様の成長が楽しみです。)
周辺環境:DCM稲城押立店(毎日の暮らしに必要な日用雑貨からリフォームまで、お客様にたくさんの満足をお届けします。)
周辺環境:DCM稲城押立店(毎日の暮らしに必要な日用雑貨からリフォームまで、お客様にたくさんの満足をお届けします。)

この物件のココがオススメ!

稲城長沼駅・矢野口駅徒歩圏 全13棟の大型開発分譲地 南西向きで日当たり良好 太陽光パネル搭載

お気軽にどうぞ!

資料請求 現地見学 電話でお問い合わせ
0120-150-580

地図

申し訳ありません
こちらは会員限定機能です

会員登録で利用できる6つの便利機能

詳しく見る

お気軽にどうぞ!

資料請求 現地見学 電話でお問い合わせ
0120-150-580

頭金0万円・金利0.495%の場合

ボーナス時(年2回)お支払額

0

この物件の月々のお支払額

156,293

年収に対する返済比率

63

  • ※会員登録し、詳細情報を記入されますと、全ての物件で自動的に金額が表示され、大変便利です。
  • ※まだ会員登録をされていない方は、下記チェック欄をご記入ください。
  • ※上記計算は物件価格5,580万円+諸経費 8%込みの金額による結果となります。
  • ※返済金額はあくまでも目安です。

お客様の条件からシミュレーションするには?

会員登録
マイページから登録

金利

直接入力する

ボーナス払い(年2回)

返済年数

頭金

直接入力する

 万円(半角数字)

年収

 万円(半角数字)

約1,100m

スーパー

周辺環境:いなげや稲城矢野口店(駅の改札を出てすぐ近くにありますので、通勤通学、お出かけの際立ち寄りやすく、日々のお買い物にとても便利です。)

スーパー

約1,100m

約1,900m

ショッピングセンター

周辺環境:アメリア稲城ショッピングセンター(スーパー三和、ダイソー、マツキヨ、書店、衣料品店などが入る、ショッピングモールです。駐車場も広く休日のお買い物に便利です。)

ショッピングセンター

約1,900m

約550m

小学校

周辺環境:稲城市立稲城第四小学校(創立昭和45年。教育目標「心身ともに健康で、生涯にわたって主体的な人間の育成」)

小学校

約550m

約550m

中学校

周辺環境:稲城市立稲城第四中学校(学校教育目標:自ら学び、考え、表現する 他を思いやり、力を合わせる たくましい気力・体力を養う)

中学校

約550m

約550m

幼稚園・保育園

周辺環境:梨花幼稚園(園舎・園庭から子供たちの元気な声が聞こえてきます。できることが増えていく、お子様の成長が楽しみです。)

幼稚園・保育園

約550m

約600m

ホームセンター

周辺環境:DCM稲城押立店(毎日の暮らしに必要な日用雑貨からリフォームまで、お客様にたくさんの満足をお届けします。)

ホームセンター

約600m

価格 5,580万円
物件種別 新築一戸建て
間取り 3LDK
所在地 稲城市 押立
交通
  • 南武線「矢野口」駅 徒歩 15 分
  • 南武線「稲城長沼」駅 徒歩 18 分
土地面積 100.19㎡
建物面積 79.07㎡
学区 稲城市立稲城第四小学校、I稲城市立稲城第四中学校
用途地域 第一種低層住居専用
建ぺい率 40%
容積率 80%
地目 宅地
駐車場 有り カースペース
接道 北東5m
権利 所有権
私道面積 有 249.28㎡ 1/13
セットバック 無し
建物構造 木造
建物階数 2階
築年月 2026年04月
入居日 2026年05月
都市計画 市街化区域
取引態様 仲介
物件番号 A2381-12
設備 公営水道、公共下水、駐車場1台、閑静な住宅地、平坦地、都市近郊、開発分譲地内、地盤調査済、市街地が近い、周辺交通量少なめ、駅まで平坦、小学校徒歩10分以内、中学校徒歩10分以内、公園5分以内、システムキッチン、浄水器、ユニットバス、追い焚き、浴室乾燥機、ウォシュレット、トイレ2ヶ所、浴室1坪以上、浴室に窓、暖房便座、バルコニー、テラス、南面バルコニー、2階建、LDK15畳以上、全室2面採光、南西向き、クローゼット、収納、床下収納、下駄箱、全居室収納、シャンプドレッサー付き、モニタ付きインターフォン、複層ガラス、火災警報器(報知機)、通風良好、陽当り良好、24時間換気システム、建物10年保証
建築確認番号 TKK確済25-713号
特記事項 景観法:有/高度地区:有/日影制限:有/高さ限度:有/建築基準法第22条区域。 /
備考 稲城長沼駅・矢野口駅徒歩圏 全13棟の大型開発分譲地 南西向きで日当たり良好 太陽光パネル搭載

こだわりポイント

  • 耐震に配慮された建物
  • 運転ラクラク生活
  • 駅まで平坦ラクラク通勤
  • LDKは1階に
  • 2階建て住宅限定
  • LDK15帖以上
  • 対面キッチン
  • 浴室1坪以上
  • 小学校10分以内
  • 小児科医院10分以内
  • 幼稚園10分以内
  • 公園10分以内
  • 都市ガス
  • 10棟以上の分譲地
  • 道路広々(5m以上)
  • 日当たり良好
  • 低層住居専用地域

お気軽にどうぞ!

資料請求 現地見学 電話でお問い合わせ
0120-150-580

このエリアでお探しの方へ

川崎市多摩区菅馬場1丁目 中古一戸建 5280万円

南武線「中野島」駅 徒歩 9 分

京王相模原線「京王稲田堤」駅 徒歩 19 分

川崎市多摩区 菅馬場1丁目

5,280万円

2LDK+2S

今週末モデルハウス見学会開催中!「港南台」駅利用 新築一戸建て(A) ルーフバルコニー

根岸線「港南台」駅 徒歩 19 分

京浜急行本線「上大岡」駅 バス停「日野小学校前」まで 徒歩 9 分 バス利用 10分

横浜市港南区 日野中央2丁目

5,280万円

3SLDK

値下げしました! 「蒔田」駅徒歩8分 新築一戸建て(4) エコジョーズ

ブルーライン「蒔田」駅 徒歩 8 分

ブルーライン「弘明寺」駅 徒歩 14 分

横浜市南区 大岡1丁目

5,280万円

2LDK+2S

建物完成しました! 今週末内覧会開催中!「仲町台」駅徒歩15分 未入居中古一戸建て(A)SIC完備

ブルーライン「仲町台」駅 徒歩 15 分

東急東横線「綱島」駅 バス停「吉田新田」まで 徒歩 6 分 バス利用 16分

横浜市港北区 新羽町

5,280万円

4LDK

横浜市北寺尾7丁目 新築一戸建 17号棟 5280万円

東急東横線「菊名」駅 徒歩 19 分

東急東横線「大倉山」駅 徒歩 25 分

横浜市鶴見区 北寺尾7丁目

5,280万円

2LDK+2S

川崎市高津区坂戸3丁目 新築一戸建 5280万円

南武線「武蔵新城」駅 徒歩 13 分

田園都市線「溝の口」駅 徒歩 23 分

川崎市高津区 坂戸3丁目

5,280万円

3LDK

川崎市中原区井田3丁目 新築一戸建 5280万円 2号棟

東急東横線「日吉」駅 徒歩 22 分

グリーンライン「日吉本町」駅 徒歩 23 分

川崎市中原区 井田3丁目

5,280万円

3SLDK

川崎市幸区小倉5丁目 新築一戸建 5280万円 1号棟

南武線「尻手」駅 バス停「末吉橋」まで 徒歩 7 分 バス利用 5分

京浜東北線「川崎」駅 バス停「末吉橋」まで 徒歩 7 分 バス利用 17分

川崎市幸区 小倉5丁目

5,280万円

3LDK

横浜市神奈川区神之木台 新築一戸建 5280万円 1号棟

横浜線「大口」駅 徒歩 11 分

京浜東北線「新子安」駅 徒歩 16 分

横浜市神奈川区 神之木台

5,280万円

3SLDK

横浜市青葉区鉄町 新築一戸建 5280万円

田園都市線「青葉台」駅 バス停「桐蔭学院入口」まで 徒歩 2 分 バス利用 14分

小田急線「柿生」駅 バス停「上鉄鴨志田口」まで 徒歩 4 分 バス利用 24分

横浜市青葉区 鉄町

5,280万円

5LDK

今週末モデルハウス見学会開催中!「藤沢」駅徒歩14分 新築一戸建て ルーフバルコニー付き

東海道本線「藤沢」駅 徒歩 14 分

江ノ島線「藤沢」駅 徒歩 14 分

藤沢市 西富1丁目

5,280万円

2LDK+2S

今週末モデルハウス見学会開催中!「上大岡」駅徒歩11分 新築一戸建て 角地

京浜急行本線「上大岡」駅 徒歩 11 分

ブルーライン「上大岡」駅 徒歩 11 分

横浜市港南区 上大岡東3丁目

5,280万円

4LDK

お気軽にどうぞ!

資料請求 現地見学 電話でお問い合わせ
0120-150-580
来店予約