1. トップページ
  2. 稲城市押立 新築一戸建 5680万円 4号棟

稲城市押立 新築一戸建 5680万円 4号棟

価格
5,680万円
物件種別
新築一戸建て
間取り
3LDK
所在地
稲城市 押立
交通
  • 南武線「矢野口」駅 徒歩 15 分
  • 南武線「稲城長沼」駅 徒歩 18 分
土地面積
100.64㎡
建物面積
79.48㎡
  • 前回情報更新日 2026.04.21
  • 次回情報更新予定日 2026.05.05
資料請求 現地見学 電話でお問い合わせ
0120-150-580
間取り
間取り
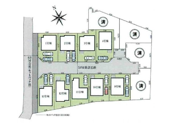
区画図
区画図
周辺環境:いなげや稲城矢野口店(駅の改札を出てすぐ近くにありますので、通勤通学、お出かけの際立ち寄りやすく、日々のお買い物にとても便利です。)
周辺環境:いなげや稲城矢野口店(駅の改札を出てすぐ近くにありますので、通勤通学、お出かけの際立ち寄りやすく、日々のお買い物にとても便利です。)
周辺環境:アメリア稲城ショッピングセンター(スーパー三和、ダイソー、マツキヨ、書店、衣料品店などが入る、ショッピングモールです。駐車場も広く休日のお買い物に便利です。)
周辺環境:アメリア稲城ショッピングセンター(スーパー三和、ダイソー、マツキヨ、書店、衣料品店などが入る、ショッピングモールです。駐車場も広く休日のお買い物に便利です。)
周辺環境:稲城市立稲城第四小学校(創立昭和45年。教育目標「心身ともに健康で、生涯にわたって主体的な人間の育成」)
周辺環境:稲城市立稲城第四小学校(創立昭和45年。教育目標「心身ともに健康で、生涯にわたって主体的な人間の育成」)
周辺環境:稲城市立稲城第四中学校(学校教育目標:自ら学び、考え、表現する 他を思いやり、力を合わせる たくましい気力・体力を養う)
周辺環境:稲城市立稲城第四中学校(学校教育目標:自ら学び、考え、表現する 他を思いやり、力を合わせる たくましい気力・体力を養う)
周辺環境:梨花幼稚園(園舎・園庭から子供たちの元気な声が聞こえてきます。できることが増えていく、お子様の成長が楽しみです。)
周辺環境:梨花幼稚園(園舎・園庭から子供たちの元気な声が聞こえてきます。できることが増えていく、お子様の成長が楽しみです。)
周辺環境:DCM稲城押立店(毎日の暮らしに必要な日用雑貨からリフォームまで、お客様にたくさんの満足をお届けします。)
周辺環境:DCM稲城押立店(毎日の暮らしに必要な日用雑貨からリフォームまで、お客様にたくさんの満足をお届けします。)

この物件のココがオススメ!

稲城長沼駅・矢野口駅徒歩圏 全13棟の大型開発分譲地 南西向きで日当たり良好 太陽光パネル搭載

お気軽にどうぞ!

資料請求 現地見学 電話でお問い合わせ
0120-150-580

地図

申し訳ありません
こちらは会員限定機能です

会員登録で利用できる6つの便利機能

詳しく見る

お気軽にどうぞ!

資料請求 現地見学 電話でお問い合わせ
0120-150-580

頭金0万円・金利0.495%の場合

ボーナス時(年2回)お支払額

0

この物件の月々のお支払額

159,094

年収に対する返済比率

64

  • ※会員登録し、詳細情報を記入されますと、全ての物件で自動的に金額が表示され、大変便利です。
  • ※まだ会員登録をされていない方は、下記チェック欄をご記入ください。
  • ※上記計算は物件価格5,680万円+諸経費 8%込みの金額による結果となります。
  • ※返済金額はあくまでも目安です。

お客様の条件からシミュレーションするには?

会員登録
マイページから登録

金利

直接入力する

ボーナス払い(年2回)

返済年数

頭金

直接入力する

 万円(半角数字)

年収

 万円(半角数字)

約1,100m

スーパー

周辺環境:いなげや稲城矢野口店(駅の改札を出てすぐ近くにありますので、通勤通学、お出かけの際立ち寄りやすく、日々のお買い物にとても便利です。)

スーパー

約1,100m

約1,900m

ショッピングセンター

周辺環境:アメリア稲城ショッピングセンター(スーパー三和、ダイソー、マツキヨ、書店、衣料品店などが入る、ショッピングモールです。駐車場も広く休日のお買い物に便利です。)

ショッピングセンター

約1,900m

約550m

小学校

周辺環境:稲城市立稲城第四小学校(創立昭和45年。教育目標「心身ともに健康で、生涯にわたって主体的な人間の育成」)

小学校

約550m

約550m

中学校

周辺環境:稲城市立稲城第四中学校(学校教育目標:自ら学び、考え、表現する 他を思いやり、力を合わせる たくましい気力・体力を養う)

中学校

約550m

約550m

幼稚園・保育園

周辺環境:梨花幼稚園(園舎・園庭から子供たちの元気な声が聞こえてきます。できることが増えていく、お子様の成長が楽しみです。)

幼稚園・保育園

約550m

約600m

ホームセンター

周辺環境:DCM稲城押立店(毎日の暮らしに必要な日用雑貨からリフォームまで、お客様にたくさんの満足をお届けします。)

ホームセンター

約600m

価格 5,680万円
物件種別 新築一戸建て
間取り 3LDK
所在地 稲城市 押立
交通
  • 南武線「矢野口」駅 徒歩 15 分
  • 南武線「稲城長沼」駅 徒歩 18 分
土地面積 100.64㎡
建物面積 79.48㎡
学区 稲城市立稲城第四小学校、I稲城市立稲城第四中学校
用途地域 第一種低層住居専用
建ぺい率 40%
容積率 80%
地目 宅地
駐車場 有り カースペース
接道 南西5m
権利 所有権
私道面積 有 249.28㎡ 1/13
セットバック 無し
建物構造 木造
建物階数 2階
築年月 2026年04月
入居日 2026年05月
都市計画 市街化区域
取引態様 仲介
物件番号 A2381-4
設備 公営水道、公共下水、駐車場1台、閑静な住宅地、平坦地、都市近郊、開発分譲地内、地盤調査済、南側道路面す、市街地が近い、周辺交通量少なめ、駅まで平坦、小学校徒歩10分以内、中学校徒歩10分以内、公園5分以内、システムキッチン、浄水器、パントリー(食器・食品の収納庫)、ユニットバス、追い焚き、浴室乾燥機、ウォシュレット、トイレ2ヶ所、浴室1坪以上、浴室に窓、暖房便座、バルコニー、テラス、南面バルコニー、2階建、LDK15畳以上、全室2面採光、南西向き、リビング階段、クローゼット、収納、床下収納、下駄箱、全居室収納、シャンプドレッサー付き、モニタ付きインターフォン、複層ガラス、火災警報器(報知機)、通風良好、陽当り良好、24時間換気システム、建物10年保証
建築確認番号 TKK確済25-495号
特記事項 隅切り:有/景観法:有/高度地区:有/日影制限:有/高さ限度:有/建築基準法第22条区域。 /
備考 稲城長沼駅・矢野口駅徒歩圏 全13棟の大型開発分譲地 南西向きで日当たり良好 太陽光パネル搭載

こだわりポイント

  • 耐震に配慮された建物
  • 運転ラクラク生活
  • 駅まで平坦ラクラク通勤
  • LDKは1階に
  • 2階建て住宅限定
  • リビングイン階段
  • LDK15帖以上
  • 対面キッチン
  • 浴室1坪以上
  • 小学校10分以内
  • 小児科医院10分以内
  • 幼稚園10分以内
  • 公園10分以内
  • 都市ガス
  • 10棟以上の分譲地
  • 道路広々(5m以上)
  • 日当たり良好
  • 南道路限定
  • 整形地
  • 低層住居専用地域

お気軽にどうぞ!

資料請求 現地見学 電話でお問い合わせ
0120-150-580

このエリアでお探しの方へ

川崎市川崎区四谷上町 新築一戸建 5380万円 No.1

京浜東北線「川崎」駅 バス停「台町」まで 徒歩 7 分 バス利用 11分

大師線「東門前」駅 徒歩 19 分

川崎市川崎区 四谷上町

5,380万円

3SLDK

今週末モデルハウス見学会開催中!「妙蓮寺」駅徒歩14分 新築一戸建て(1) エコジョーズ

東急東横線「妙蓮寺」駅 徒歩 14 分

横浜線「大口」駅 徒歩 17 分

横浜市神奈川区 松見町3丁目

5,380万円

2LDK+2S

今週末モデルハウス見学会開催中!「桜ケ丘」「瀬谷」駅利用 新築一戸建て(20) カースペース2台

江ノ島線「桜ヶ丘」駅 徒歩 18 分

相模鉄道線「瀬谷」駅 徒歩 26 分

横浜市瀬谷区 北新

5,380万円

4LDK

今週末モデルハウス見学会開催中!「東戸塚」駅利用 新築一戸建て(1) 閑静な住宅地

横須賀線「東戸塚」駅 徒歩 24 分

湘南新宿宇「保土ヶ谷」駅 バス停「狩場町」まで 徒歩 7 分 バス利用 16分

横浜市戸塚区 平戸2丁目

5,380万円

4LDK

今週末モデルハウス見学会開催中!「桜ケ丘」「瀬谷」駅利用 新築一戸建て(21) カースペース2台

江ノ島線「桜ヶ丘」駅 徒歩 18 分

相模鉄道線「瀬谷」駅 徒歩 26 分

横浜市瀬谷区 北新

5,380万円

4LDK

値下げしました!今週末内覧会開催中!「港南台」駅徒歩13分 未入居中古一戸建て(3) 閑静な住宅地

根岸線「港南台」駅 徒歩 13 分

京浜急行本線「上大岡」駅 バス停「日野」まで 徒歩 13 分 バス利用 10分

横浜市港南区 港南台1丁目

5,380万円

2LDK+2S

横浜市青葉区もみの木台 新築一戸建 5380万円 A棟

田園都市線「あざみ野」駅 バス停「もみの木台」まで 徒歩 3 分 バス利用 7分

小田急線「新百合ヶ丘」駅 バス停「もみの木台」まで 徒歩 3 分 バス利用 19分

横浜市青葉区 もみの木台

5,380万円

2SLDK

値下げしました!建物完成しました!「金沢文庫」駅徒歩5分 新築一戸建て(2) カースペース3台

京浜急行本線「金沢文庫」駅 徒歩 5 分

金沢シーサイドライン「海の公園南口」駅 徒歩 13 分

横浜市金沢区 金沢町

5,380万円

3LDK

川崎市宮前区馬絹4丁目 新築一戸建 5380万円 4号棟

田園都市線「宮崎台」駅 徒歩 20 分

田園都市線「鷺沼」駅 バス停「宮前休日診療所」まで 徒歩 3 分 バス利用 7分

川崎市宮前区 馬絹4丁目

5,380万円

3SLDK

川崎市宮前区神木本町3丁目 新築一戸建 5380万円 5号棟

田園都市線「宮崎台」駅 徒歩 22 分

南武線「津田山」駅 徒歩 22 分

川崎市宮前区 神木本町3丁目

5,380万円

4LDK

今週末モデルハウス見学会開催中!「上永谷」駅徒歩12分 新築一戸建て 20帖LDK SIC WIC

ブルーライン「上永谷」駅 徒歩 12 分

京浜急行本線「上大岡」駅 バス停「天谷」まで 徒歩 5 分 バス利用 18分

横浜市港南区 野庭町

5,380万円

3LDK

今週末モデルハウス見学会開催中!「阪東橋」駅利用 新築一戸建て(5)パントリー完備・リビング階段

ブルーライン「阪東橋」駅 徒歩 17 分

根岸線「桜木町」駅 バス停「平楽中学校前」まで 徒歩 1 分 バス利用 24分

横浜市南区 平楽

5,380万円

2LDK+2S

お気軽にどうぞ!

資料請求 現地見学 電話でお問い合わせ
0120-150-580
来店予約