1. トップページ
  2. 川崎市宮前区野川本町2丁目 建築条件付売地 2830万円 宅地1

川崎市宮前区野川本町2丁目 建築条件付売地 2830万円 宅地1

価格
2,830万円
物件種別
土地・売り地
所在地
川崎市宮前区 野川本町2丁目
交通
  • 南武線「武蔵新城」駅 バス停「上野川」まで 徒歩 2 分 バス利用 15分
  • 田園都市線「梶が谷」駅 バス停「上野川」まで 徒歩 4 分 バス利用 14分
土地面積
59.05㎡
  • 前回情報更新日 2026.05.15
  • 次回情報更新予定日 2026.05.29
資料請求 現地見学 電話でお問い合わせ
0120-150-580
外観:現地写真
外観:現地写真
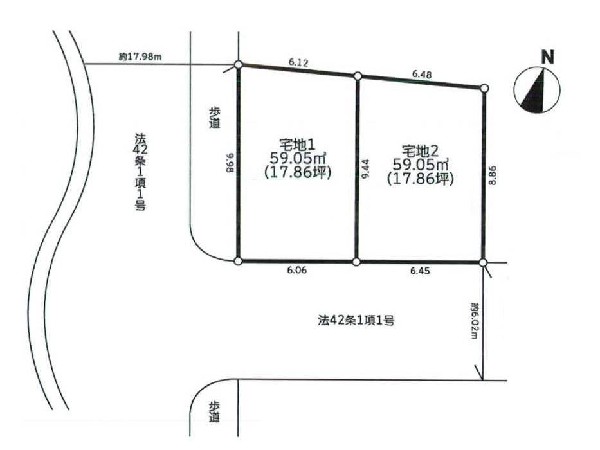
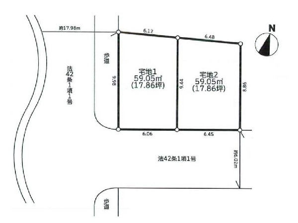
区画図
区画図
外観:現地写真
外観:現地写真
外観:現地写真
外観:現地写真
周辺環境:ヨークマート川崎野川店 (セブンアンドアイ・ホールディングス傘下のイトーヨーカ堂が関東南部に展開する日本のスーパーマーケットです。)
周辺環境:ヨークマート川崎野川店 (セブンアンドアイ・ホールディングス傘下のイトーヨーカ堂が関東南部に展開する日本のスーパーマーケットです。)
周辺環境:宮前幼稚園 (今この瞬間を、わくわく生き活きとびっきり輝いて生きてほしい。そんな思いで園づくりをしています。)
周辺環境:宮前幼稚園 (今この瞬間を、わくわく生き活きとびっきり輝いて生きてほしい。そんな思いで園づくりをしています。)
周辺環境:野川小学校  (明治6年創立で約155年の歴史がある学校。総生徒数約780人で各学年120~130人。)
周辺環境:野川小学校  (明治6年創立で約155年の歴史がある学校。総生徒数約780人で各学年120~130人。)
周辺環境:オーケー野川店 (品質の良い商品の中から、価値のある商品・美味しい商品・鮮度の良い商品・健康に良い商品・便利な商品を慎重に選んで販売しています。)
周辺環境:オーケー野川店 (品質の良い商品の中から、価値のある商品・美味しい商品・鮮度の良い商品・健康に良い商品・便利な商品を慎重に選んで販売しています。)
周辺環境:ロイヤルホームセンター梶ヶ谷店 (工具・金物・資材をはじめ、リフォーム・インテリア・ガーデニング・ペット向けの商品など幅広く提供。)
周辺環境:ロイヤルホームセンター梶ヶ谷店 (工具・金物・資材をはじめ、リフォーム・インテリア・ガーデニング・ペット向けの商品など幅広く提供。)
周辺環境:野川中学校  (昭和55年創立で総生徒数約750人、各学年6~7クラスのマンモス中学校。)
周辺環境:野川中学校 (昭和55年創立で総生徒数約750人、各学年6~7クラスのマンモス中学校。)

この物件のココがオススメ!

梶が谷駅 公園や暮らしに便利な商業施設が充実した好立地 前面道路が広く開放感あふれる住環境 全2区画

お気軽にどうぞ!

資料請求 現地見学 電話でお問い合わせ
0120-150-580

地図

申し訳ありません
こちらは会員限定機能です

会員登録で利用できる6つの便利機能

詳しく見る

お気軽にどうぞ!

資料請求 現地見学 電話でお問い合わせ
0120-150-580

頭金0万円・金利0.495%の場合

ボーナス時(年2回)お支払額

0

この物件の月々のお支払額

191,307

年収に対する返済比率

77

  • ※会員登録し、詳細情報を記入されますと、全ての物件で自動的に金額が表示され、大変便利です。
  • ※まだ会員登録をされていない方は、下記チェック欄をご記入ください。
  • ※上記計算は物件価格2,830万円+建物価格4,000万円+諸経費 8%込みの金額による結果となります。
  • ※返済金額はあくまでも目安です。

お客様の条件からシミュレーションするには?

会員登録
マイページから登録

金利

直接入力する

ボーナス払い(年2回)

返済年数

頭金

直接入力する

 万円(半角数字)

年収

 万円(半角数字)

建物価格

※土地条件を検索した場合の建物予定金額

約200m

スーパー

周辺環境:ヨークマート川崎野川店 (セブンアンドアイ・ホールディングス傘下のイトーヨーカ堂が関東南部に展開する日本のスーパーマーケットです。)

スーパー

約200m

約280m

幼稚園・保育園

周辺環境:宮前幼稚園 (今この瞬間を、わくわく生き活きとびっきり輝いて生きてほしい。そんな思いで園づくりをしています。)

幼稚園・保育園

約280m

約350m

小学校

周辺環境:野川小学校  (明治6年創立で約155年の歴史がある学校。総生徒数約780人で各学年120~130人。)

小学校

約350m

約500m

スーパー

周辺環境:オーケー野川店 (品質の良い商品の中から、価値のある商品・美味しい商品・鮮度の良い商品・健康に良い商品・便利な商品を慎重に選んで販売しています。)

スーパー

約500m

約500m

ホームセンター

周辺環境:ロイヤルホームセンター梶ヶ谷店 (工具・金物・資材をはじめ、リフォーム・インテリア・ガーデニング・ペット向けの商品など幅広く提供。)

ホームセンター

約500m

約900m

中学校

周辺環境:野川中学校 (昭和55年創立で総生徒数約750人、各学年6~7クラスのマンモス中学校。)

中学校

約900m

価格 2,830万円
物件種別 土地・売り地
間取り -
所在地 川崎市宮前区 野川本町2丁目
交通
  • 南武線「武蔵新城」駅 バス停「上野川」まで 徒歩 2 分 バス利用 15分
  • 田園都市線「梶が谷」駅 バス停「上野川」まで 徒歩 4 分 バス利用 14分
土地面積 59.05㎡
建物面積 -
学区 野川小学校、野川中学校
用途地域 準住居
建ぺい率 60%
容積率 200%
地目 宅地
駐車場 無し
接道 南東6m、南西17.9m
権利 所有権
私道面積 無し
セットバック 無し
建物構造 -
建物階数 -
築年月 -
入居日 相談
都市計画 市街化区域
取引態様 仲介
物件番号 A2374-1
設備 公営水道、公共下水、緑豊かな住宅地、角地、都市近郊、地盤調査済、南側道路面す、前道6m以上、市街地が近い、整備された歩道、スーパーが近い(10分以内)、2沿線以上利用可、小学校徒歩10分以内、保育施設・幼稚園5分以内、公園5分以内、コンビニ5分以内
建築確認番号 -
特記事項 景観法:有/宅地造成工事規制区域:有/高度地区:有/準防火地域:有/日影制限:有/高さ限度:有。 建築条件:付き/現状古家有、引き渡し時更地。
備考 梶が谷駅 公園や暮らしに便利な商業施設が充実した好立地 前面道路が広く開放感あふれる住環境 全2区画

こだわりポイント

  • 運転ラクラク生活
  • 外食を楽しめる生活
  • 子供の多い街に住む
  • 建築前自由設計
  • 小学校10分以内
  • スーパー10分以内
  • コンビニ10分以内
  • 保育園10分以内
  • 幼稚園10分以内
  • 公園10分以内
  • 都市ガス
  • 角地限定
  • 道路広々(5m以上)
  • 日当たり良好
  • 南道路限定
  • 整形地
  • 道路と段差無し

お気軽にどうぞ!

資料請求 現地見学 電話でお問い合わせ
0120-150-580

このエリアでお探しの方へ

川崎市宮前区野川本町2丁目 建築条件付売地 2730万円 宅地2

南武線「武蔵新城」駅 バス停「上野川」まで 徒歩 2 分 バス利用 15分

田園都市線「梶が谷」駅 バス停「上野川」まで 徒歩 4 分 バス利用 14分

川崎市宮前区 野川本町2丁目

2,730万円

川崎市宮前区馬絹4丁目 建築条件付売地 3080万円 4区画

田園都市線「宮崎台」駅 徒歩 25 分

田園都市線「鷺沼」駅 バス停「野川台西口」まで 徒歩 6 分 バス利用 8分

川崎市宮前区 馬絹4丁目

3,080万円

川崎市宮前区馬絹4丁目 建築条件付売地 1980万円 5区画

田園都市線「宮崎台」駅 徒歩 25 分

田園都市線「鷺沼」駅 バス停「野川台西口」まで 徒歩 6 分 バス利用 8分

川崎市宮前区 馬絹4丁目

1,980万円

川崎市宮前区南平台 建築条件付売地 3280万円

田園都市線「宮前平」駅 徒歩 26 分

田園都市線「宮前平」駅 バス停「東名向丘入口」まで 徒歩 5 分 バス利用 12分

川崎市宮前区 南平台

3,280万円

川崎市宮前区馬絹4丁目 建築条件付売地 3280万円 3区画

田園都市線「宮崎台」駅 徒歩 25 分

田園都市線「鷺沼」駅 バス停「野川台西口」まで 徒歩 6 分 バス利用 8分

川崎市宮前区 馬絹4丁目

3,280万円

川崎市宮前区東有馬2丁目 建築条件無売地 3990万円 No.4区画

田園都市線「鷺沼」駅 バス停「宮前休日診療所」まで 徒歩 5 分 バス利用 7分

田園都市線「宮崎台」駅 徒歩 25 分

川崎市宮前区 東有馬2丁目

3,990万円

川崎市宮前区東有馬2丁目 建築条件無売地 4190万円 No.5区画

田園都市線「鷺沼」駅 バス停「宮前休日診療所」まで 徒歩 5 分 バス利用 7分

田園都市線「宮崎台」駅 徒歩 25 分

川崎市宮前区 東有馬2丁目

4,190万円

川崎市宮前区東有馬2丁目 建築条件無売地 4190万円 No.6区画

田園都市線「鷺沼」駅 バス停「宮前休日診療所」まで 徒歩 5 分 バス利用 7分

田園都市線「宮崎台」駅 徒歩 25 分

川崎市宮前区 東有馬2丁目

4,190万円

川崎市宮前区土橋7丁目 建築条件無売地 5980万円 2区画

田園都市線「宮前平」駅 徒歩 12 分

田園都市線「鷺沼」駅 徒歩 18 分

川崎市宮前区 土橋7丁目

5,980万円

川崎市宮前区土橋7丁目 建築条件無売地 6180万円 1区画

田園都市線「宮前平」駅 徒歩 12 分

田園都市線「鷺沼」駅 徒歩 18 分

川崎市宮前区 土橋7丁目

6,180万円

川崎市宮前区南野川3丁目 建築条件無売地 1990万円

田園都市線「鷺沼」駅 バス停「久末」まで 徒歩 8 分 バス利用 23分

東急東横線「武蔵小杉」駅 バス停「和田八幡宮下」まで 徒歩 9 分 バス利用 29分

川崎市宮前区 南野川3丁目

1,990万円

お気軽にどうぞ!

資料請求 現地見学 電話でお問い合わせ
0120-150-580
来店予約